отримання копій топо-геоплану м.Львів
-
Від: УЛЯНА БОБКО
До: Львівська міська рада -
Доброго дня!
На підставі статей 1, 13, 19, 20 Закону України «Про доступ до публічної інформації» від 13 січня 2011 року, які надають право звертатись із запитами до розпорядників інформації щодо надання публічної інформації, прошу надати наступну інформацію (наступні документи):
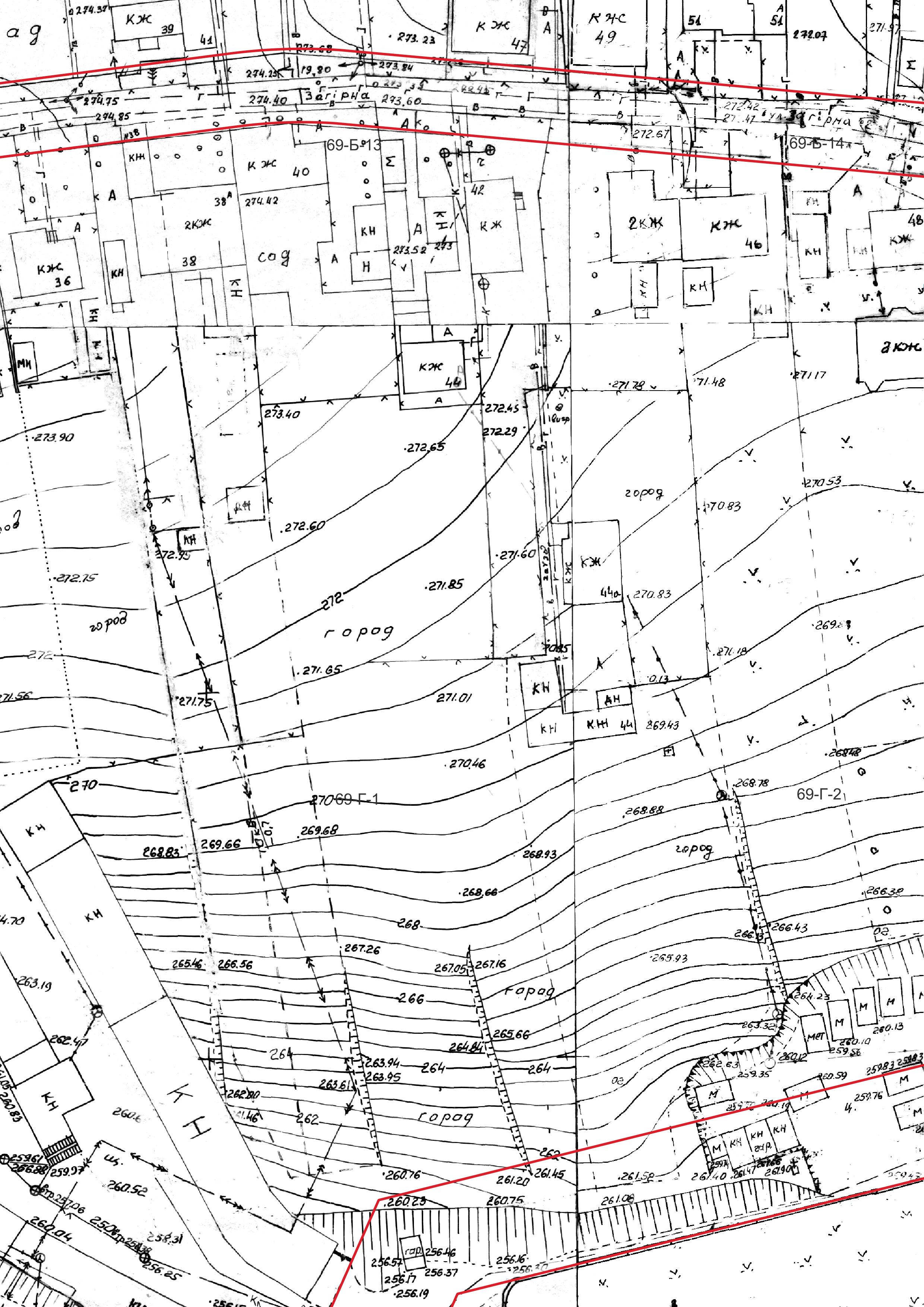
1) Викопіювання з топографо-геодезичного плану м. Львова М1:500 за адресою:
м. Львів, вул. Загірна, 44.
2) Детальний план території з червоними лініями в масштабі М:2000 за адресою
м. Львів, вул. Загірна, 44.
3) Інформацію (викопіювання) з ортофотоплану з нанесеним шаром кадастрових
планів земельних ділянок 1:500 та з нанесеними червоними лініями на місцевості
земельних ділянок з кадастровими номерами:
- 4610137500:06:007:0121
- 4610137500:06:007:0138
Також прошу виконати вимоги Закону України «Про доступ до публічної інформації» статті
22 п.3 “Розпорядник інформації, який не володіє запитуваною інформацією, але якому за
статусом або характером діяльності відомо або має бути відомо, хто нею володіє,
зобов'язаний направити цей запит належному розпоряднику з одночасним повідомленням
про це запитувача. У такому разі відлік строку розгляду запиту на інформацію починається
з дня отримання запиту належним розпорядником.”
Скан-копію документів прошу направити на електронну поштову скриньку [email address].
З повагою,
УЛЯНА БОБКО
--
З повагою,
відділ містобудівної документації
управління просторового планування
департаменту архітектури та просторового розвитку
Львівської міської ради
тел. (032) 297 57 86



